
Images
Map
Street
1 Acre of Commercial Land for Sale in Many, Louisiana
Highway 191 N of Toledo Town, Many, LA 71449
$60,000
1 acre
Active
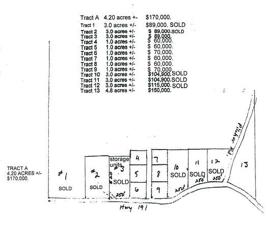
Est $437/moCommercial land tracts fronting Highway 191 North of Toledo Town. Great location for your business endeavor, high traffic area on Highway 191. We have one acre +/- tracts starting at $60,000. to $70,000. Several 3.0 acre+/- tracts available for $89,000. to $129,000. There is a 4.80 +/- acre tract available at the corner of Highway 191 and Pilcher road for $150,000.
Location
- Street address
- Highway 191 N of Toledo Town
- Parish
- Sabine Parish
- Elevation
- 266 feet
Property details
- Acreage
- 1 acre
- MLS #
- MyStateMLS 11097556
- Posted
Listing history
| Date | Event | Price | Change | Source |
|---|---|---|---|---|
| Feb 12, 2026 | Price increase | $60,000 | $10,000 20% | MyStateMLS |
| Aug 18, 2025 | Relisted | $50,000 | — | MyStateMLS |
| Aug 14, 2025 | Listing removed | $50,000 | — | Listing agent |
| Aug 26, 2022 | Price increase | $50,000 | $10,000 25% | MyStateMLS |
| Aug 2, 2022 | New listing | $40,000 | — | MyStateMLS |
Payment calculator

Contact listing agent
By submitting, I agree to the terms of use and to be contacted by . Message and data rates may apply.






