Mixed-Use Land for Sale in Mason, Ohio
11 Western Row Rd, Mason, OH 45040
Images
Map
Street














$1,250,000
1.37 acres
pending
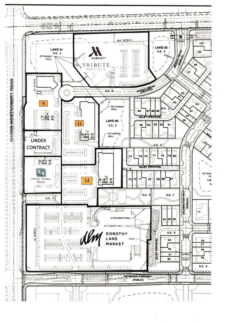
Under contractThe Mosaic development in Mason, Ohio, is a significant mixed-use project anchored by the new Dorothy Lane Market. Located at the corner of Mason-Montgomery and Western Row Roads, the development spans 70 acres and includes a mix of residential, retail, and commercial spaces.
Location
- Street address
- 11 Western Row Rd
- County
- Warren County
- Community
- Mosaic Development
- Elevation
- 860 feet
Directions
Corner of Mason Montgomery and Western Row Road
Property details
- Acreage
- 1.37 acres
- Zoning
- Commercial
- MLS #
- CINCYMLS 1814102
- Posted
Parcels
- 1628107003
Details and features
Listing
- Type
- Other
Exterior
- Features
- Lights, Sidewalks
Listing history
| Date | Event | Price | Change | Source |
|---|---|---|---|---|
| June 27, 2025 | Under contract | $1,250,000 | — | CINCYMLS |
| Oct 8, 2024 | Price drop | $1,250,000 | $250,000 -16.7% | CINCYMLS |
| Aug 7, 2024 | New listing | $1,500,000 | — | CINCYMLS |
Payment calculator
Contact listing agent
By submitting, I agree to the terms of use and to be contacted by real estate professionals. Message and data rates may apply.












